Part 1 – Sailing to the Bay of Islands
This time the visitors were people that we knew very well and planning had begun two years earlier when we had visited them in their beautiful home in the charming Cotswolds village of Hawkesbury Upton and then solidified when we caught up in Wareham last year.
After an early start, Nigel picked up a jet lagged, Pete and Philippa from Auckland airport and had them back in Urquarts Bay in time for an afternoon stroll around ‘our loop’.







We weren’t sure whether they wanted to spend some time road tripping around Northland to see the sights or to go sailing. Their choice was emphatic; ‘let’s go sailing’. We were delighted and by the next day a fully provisioned Taihoa left her mooring for the epic journey all the way to Smugglers Cove. OK so not such an epic journey but the conditions were right and it meant we could have an early getaway to head up the coast the next morning.








As we know ‘The best laid schemes o’ Mice an’ Men/Gang aft agley’ so it should not have come as a great surprise when our planned early start was delayed by a blocked water maker inlet. That meant a return to Smuggler’s Cove and an early morning swim for Nigel. With the blockage cleared, and our newly installed water maker fully functional once again, we headed north.
The delayed start meant a revised itinerary. Despite Pete applying his dinghy sailing expertise to fine tuning Taihoa’s sails, we were never going to make it all the way to Whangamumu. Instead we spent the night in Mimiwhangata and so were able to enjoy a morning walk around the peninsula before heading for the Bay of Islands.









Winds from the west meant a serious tacking course once we rounded Cape Brett. We were slowly clawing our way upwind when a loud bang and a flapping sail signalled the end to our sailing for the day. Pointing as close as we could to the wind meant that our Genoa was hauled in a tight as possible and the extra strain was obviously too much for the frayed attachment point for the sheets to the clew of the sail (we hope you are impressed with the sailing terminology that we now use as though we know what we are talking about). With little chance of making progress directly into the wind with just a mainsail we motor sailed to a familiar anchorage in Otiao Bay on the western side of Urupukapuka Island – a great base for exploring the island the next day.














Our must do activity in the Bay of Islands is a beer at the Duke of Marlborough – our favourite pub in New Zealand. We had a booked a berth at the Russell town wharf and a table for a Friday night dinner at the Duke. So despite a strong westerly making for tricky docking conditions we were determined to spend the next night in Russell.









The wind which had made our docking so difficult disappeared during the evening. So after a delicious meal and a fabulous evening in The Duke we had a peaceful night on the dock and departed on a glassy sea the next morning.
After a scenic cruise through the islands we rounded Cape Brett and headed into the secluded harbour of the abandoned whaling station at Whangamumu. Since we had arrived by lunchtime we still had time to climb the hill, visit the whaling station, have a swim and for Nigel and Philippa to go fishing. Fortunately we were not relying on them catching fish in order for us to eat that night.
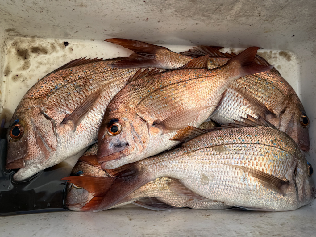
Later we experimented with the underwater lights and found that they attracted all manner of tiny fish which in turn brought in larger kōheru which we were able to scoop up in the landing net – Sue and Philippa proved to be the most proficient at this. They make fabulous bait and the next morning Nigel made an early morning fishing trip to convert a handful of kōheru into a bin full of snapper. Fish was back on the menu.













We had expected to be motoring directly home into a southerly but a few wind shifts encouraged us to hoist the code 0 and allowed for some lively sailing conditions for part of the day at least. We were back on the mooring by late afternoon and home to Daniel’s in time for sundowners.

The next day gave us just enough time wash clothes, clean up the boat and go for a decent walk before a good nights sleep in preparation for Part II of this great holiday.

